Home Care Heroes Blog

CMS Penalties for Avoidable Readmissions Have Started
The entire healthcare world has known for a long time that yesterday was coming: the day that CMS started penalizing hospitals for what are called avoidable readmissions. That's right--THAT just...
Population Health IT for ACOs
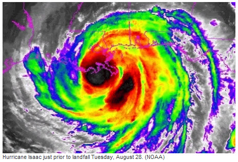
Storm Watch: Managing Care Transitions & Home Care In A Storm
Storms threaten the delivery of healthcare services, but a little planning and some good technology can help hospitals, ACOs and post acute providers of all types.
In the mid Atlantic, we've just...
Performance Improvement in Managing Care Transitions
The Healthcare Finance Managers Association (HFMA) posted their most recent HFMA Education report, titled "Using Formal Process Improvement for Revenue Cycle Management." I am going to ask you to...
Assumptions on In-House Home Health Agencies Debunked
Hospice and Hospital Market Research Provider Dispels Myths Regarding Post Acute Care
Recent Healthcare Market Resources (HMR) research verifies that hospitals' "inhouse" agencies do not command a...
Employers Look to Direct Contract with Doctors, What about Home Care
I came across a post on the American Medical News web site. Discussing the issue that more self-insured employers are considering direct contracting with healthcare providers. The drive health...
Stay Informed with our Podcast!
Need Help
Simplify care delivery. Improve outcomes. Start with Ankota.
Trusted by home care agencies nationwide




